
Einziehung eines Teilfläche der Ortsstraße Nr. 3 in Mittelberg – „Am Vogatsbichel“
					Im Rahmen der erfolgten Straßenbausarbeiten wurde die nordwestlich gelegene Einmündung der Straße „Am Vogatsbichel“ in die „Rotachstraße“ entsprechend dem Bebauungsplan „Mittelberg – Am Vogatsbichel“ soweit ausgebaut, dass die südwestliche Zufahrt zur Rotachstraße nicht mehr erforderlich ist. Entsprechend Art. 8 Abs. 1 BayStrWG ist diese Teilfläche somit aus überwiegenden Gründen des öffentlichen Wohls (Umsetzung des Bebauungsplanes) einzuziehen („Entwidmung“).
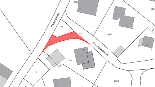
Der Gemeinderat hat in der Sitzung am 19.09.2024 daher die Einziehung des genannten Straßenabschnittes mit einer Länge von ca. 25 m beschlossen. Anfangspunkt der Einziehung ist im Südwesten die Rotachstraße, Fl.Nr. 5/2; der Endpunkt ist die nordöstliche Grundstücksflucht der Fl.Nrn. 10 und 6/1, jeweils Gemarkung Mittelberg (siehe Lageplan).
Die Absicht zur Einziehung wird hiermit gemäß Art. 8 Abs. 2 Satz 1 BayStrWG ortsüblich bekannt gemacht. Die relevanten Unterlagen können während der allgemeinen Öffnungszeiten im Rathaus, Hauptstraße 12, Zi.Nr. 1.06, eingesehen werden. Einwendungen können innerhalb von drei Monaten, also bis spätestens 20.01.2025 bei der Gemeinde schriftlich, oder zur Niederschrift (Zi.Nr. 1.06) eingereicht werden.
Oy-Mittelberg, den 11.10.2024
gez.
Lucas Reisacher
Erster Bürgermeister
 
				
			Der Gemeinderat hat in der Sitzung am 19.09.2024 daher die Einziehung des genannten Straßenabschnittes mit einer Länge von ca. 25 m beschlossen. Anfangspunkt der Einziehung ist im Südwesten die Rotachstraße, Fl.Nr. 5/2; der Endpunkt ist die nordöstliche Grundstücksflucht der Fl.Nrn. 10 und 6/1, jeweils Gemarkung Mittelberg (siehe Lageplan).
Die Absicht zur Einziehung wird hiermit gemäß Art. 8 Abs. 2 Satz 1 BayStrWG ortsüblich bekannt gemacht. Die relevanten Unterlagen können während der allgemeinen Öffnungszeiten im Rathaus, Hauptstraße 12, Zi.Nr. 1.06, eingesehen werden. Einwendungen können innerhalb von drei Monaten, also bis spätestens 20.01.2025 bei der Gemeinde schriftlich, oder zur Niederschrift (Zi.Nr. 1.06) eingereicht werden.
Oy-Mittelberg, den 11.10.2024
gez.
Lucas Reisacher
Erster Bürgermeister