
Widmung von Ortsstraßen
Der Gemeinderat hat in der Sitzung am 19.09.2024 beschlossen, nachfolgende Straßen als Ortsstraßen zu widmen:
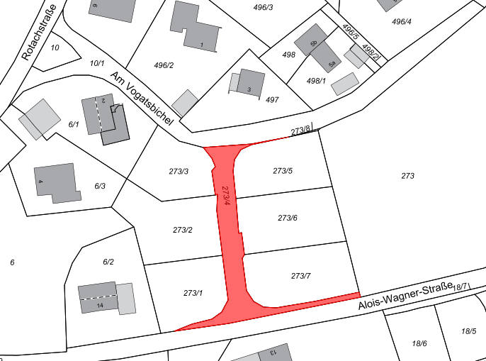
a) Ortsstraße Nr. 13 in Mittelberg (Vogatsweg)
Das Grundstück Fl.Nr. 273/4 der Gemarkung Mittelberg in Oy wird zur Ortsstraße Nr. 13 „Vogatsweg“ gewidmet. Anfangspunkt ist im Norden die Straße „Am Vogatsbichel“, Fl.Nr. 10/1, der Endpunkt ist die im Süden liegende „Alois-Wagner-Straße“, Fl.Nr. 279. Die Länge beträgt insgesamt ca. 62 m. Träger der Straßenbaulast ist die Gemeinde Oy-Mittelberg.
b) Ortsstraße Nr. 15 in Oberzollhaus (Tegelbergweg)
Das Grundstück Fl.Nr. 1421, der Gemarkung Mittelberg wird als Ortsstraße Nr. 15 in Oberzollhaus gewidmet. Anfangspunkt ist im Norden die südliche Grundstücksgrenze der Fl.Nr. 1420/4. Der Endpunkt ist der im Süden liegende „Aggensteinweg, Fl.Nr. 1421/17. Die Länge beträgt insgesamt ca. 145 m. Träger der Straßenbaulast ist die Gemeinde Oy-Mittelberg.
c) Erweiterung der Ortsstraße Nr 1. in Oberzollhaus (Aggensteinweg)
Die Grundstücke Fl.Nr. 1421/17, 1638/2 sowie eine Teilfläche aus Fl.Nr. 1430/2, jeweils Gemarkung Mittelberg, werden als Erweiterung der bestehenden Ortsstraße Nr. 1 in Oberzollhaus gewidmet. Anfangspunkt ist im Nordwesten die Flucht der südlichen Grundstücksgrenze der Fl.Nr. 1430/5. Der Endpunkt ist der im Osten liegende „Föhrenweg Fl.Nr. 1418. Die Länge beträgt insgesamt ca. 90 m.
Träger der Straßenbaulast ist die Gemeinde Oy-Mittelberg.
d) Erweiterung der Ortsstraße Nr. 3 in Oberzollhaus (Säulingweg)
Das Grundstück Fl.Nr. 1421/21 sowie eine Teilfläche aus Fl.Nr. 6106/, jeweils Gemarkung Mittelberg, werden als Erweiterung der bestehenden Ortsstraße Nr. 3 in Oberzollhaus gewidmet. Anfangspunkt ist im Nordwesten die südliche Grundstücksgrenze des Grüntenwegs, Fl.Nr. 1405/9. Der Endpunkt ist der im Osten liegende „Tegelbergweg“ Fl.Nr. 1421. Die Länge beträgt insgesamt ca. 59 m. Träger der Straßenbaulast ist die Gemeinde Oy-Mittelberg.
Die Widmungen werden am Tag nach Ihrer Bekanntgabe wirksam und können während der üblichen Öffnungszeiten im Rathaus, Hauptstraße 12, Zi.Nr. 1.06, eingesehen werden.
Oy-Mittelberg, den 11.10.2024
gez.
Lucas Reisacher
Erster Bürgermeister
a) Ortsstraße Nr. 13 in Mittelberg (Vogatsweg)
Das Grundstück Fl.Nr. 273/4 der Gemarkung Mittelberg in Oy wird zur Ortsstraße Nr. 13 „Vogatsweg“ gewidmet. Anfangspunkt ist im Norden die Straße „Am Vogatsbichel“, Fl.Nr. 10/1, der Endpunkt ist die im Süden liegende „Alois-Wagner-Straße“, Fl.Nr. 279. Die Länge beträgt insgesamt ca. 62 m. Träger der Straßenbaulast ist die Gemeinde Oy-Mittelberg.
b) Ortsstraße Nr. 15 in Oberzollhaus (Tegelbergweg)
Das Grundstück Fl.Nr. 1421, der Gemarkung Mittelberg wird als Ortsstraße Nr. 15 in Oberzollhaus gewidmet. Anfangspunkt ist im Norden die südliche Grundstücksgrenze der Fl.Nr. 1420/4. Der Endpunkt ist der im Süden liegende „Aggensteinweg, Fl.Nr. 1421/17. Die Länge beträgt insgesamt ca. 145 m. Träger der Straßenbaulast ist die Gemeinde Oy-Mittelberg.
c) Erweiterung der Ortsstraße Nr 1. in Oberzollhaus (Aggensteinweg)
Die Grundstücke Fl.Nr. 1421/17, 1638/2 sowie eine Teilfläche aus Fl.Nr. 1430/2, jeweils Gemarkung Mittelberg, werden als Erweiterung der bestehenden Ortsstraße Nr. 1 in Oberzollhaus gewidmet. Anfangspunkt ist im Nordwesten die Flucht der südlichen Grundstücksgrenze der Fl.Nr. 1430/5. Der Endpunkt ist der im Osten liegende „Föhrenweg Fl.Nr. 1418. Die Länge beträgt insgesamt ca. 90 m.
Träger der Straßenbaulast ist die Gemeinde Oy-Mittelberg.
d) Erweiterung der Ortsstraße Nr. 3 in Oberzollhaus (Säulingweg)
Das Grundstück Fl.Nr. 1421/21 sowie eine Teilfläche aus Fl.Nr. 6106/, jeweils Gemarkung Mittelberg, werden als Erweiterung der bestehenden Ortsstraße Nr. 3 in Oberzollhaus gewidmet. Anfangspunkt ist im Nordwesten die südliche Grundstücksgrenze des Grüntenwegs, Fl.Nr. 1405/9. Der Endpunkt ist der im Osten liegende „Tegelbergweg“ Fl.Nr. 1421. Die Länge beträgt insgesamt ca. 59 m. Träger der Straßenbaulast ist die Gemeinde Oy-Mittelberg.
Die Widmungen werden am Tag nach Ihrer Bekanntgabe wirksam und können während der üblichen Öffnungszeiten im Rathaus, Hauptstraße 12, Zi.Nr. 1.06, eingesehen werden.
Oy-Mittelberg, den 11.10.2024
gez.
Lucas Reisacher
Erster Bürgermeister